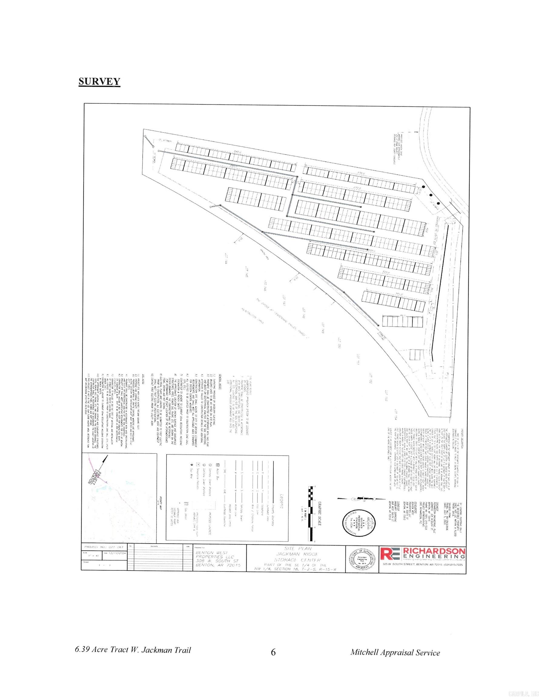
For Sale

6300-6500 Jackman Trail, Benton AR

How Can We Help?

$625,000

General Information

Price $625,000
Address 6300-6500 Jackman Trail, Benton AR
Square Feet 3,184 sqft
Acres 6.39
Type Land Only
Area Industrial Lot
Lot Level
Listing Type Exclusive Right-To-Sell
Sale/Rent For Sale
Approx Lot Size 676x52x469x523x522x123x687x132
County Saline River
Will Subdivide No
Inside City Limits No

Construction

Year Built 2025
New Construction No

Interior / Exterior

Utilities Water-Public, Electric-Co-op
Directions
Photos